Fazenda para Venda, Caldas Novas / GO
Ref: RU-039, área total 1,00 AlqueiresCompartilhar:
R$ 480.000
Descrição do Imóvel
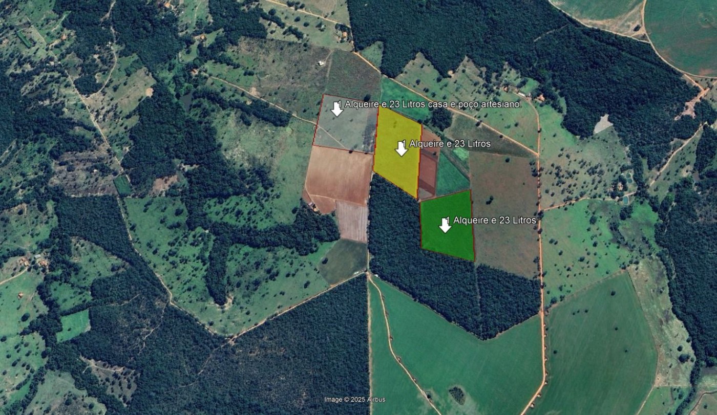
FAZENDA PRÓXIMO A JUNQUERLÂNDIA
📍 Área 2 (terra limpa)
1 alqueire e 23 litros
Sem estrutura, pronta pra projeto
💰 R$ 480.000,00
Mapa de Localização
clique para navegar no mapa
Central de Negócios
Um imóvel não é apenas um endereço. É o início de uma nova história.
Aqui na JÚLIO NEGÓCIOS IMOBILIÁRIOS, acreditamos que cada porta aberta revela um sonho, cada escolha carrega propósito e cada conquista merece ser vivida com segurança, paz e transparência.
Nossa missão é conectar pessoas aos melhores imóveis e oportunidades em Caldas Novas, transformando sonhos em conquistas reais e honrando a Deus através do nosso trabalho. Fazemos tudo com dedicação, verdade e excelência, porque cremos que cada detalhe importa.
Servimos com o coração, aprendemos todos os dias e buscamos ir além do óbvio. Onde muitos veem obstáculos, nós enxergamos oportunidades. Onde há dúvidas, oferecemos clareza. Onde existe expectativa, entregamos compromisso.
Guiados por valores como integridade, responsabilidade, fé, união e amor ao cliente, trabalhamos para que você se sinta seguro em cada passo da sua jornada imobiliária — desde o primeiro contato até a realização do seu sonho.
“Tudo o que fizerem, façam de todo o coração, como para o Senhor.” — Colossenses 3:23
“Onde há união, o Senhor ordena a bênção.” — Salmos 133:3
Convidamos você a conhecer cada detalhe dos imóveis disponíveis em nossa Central de Negócios. Aqui, mais do que imóveis, você encontrará propósito, cuidado e oportunidades que fazem sentido para a sua vida.
📞 Para mais informações, fale com nossos corretores:
(64) 99251-0110
📍 Rua Antônio Coelho de Godoy, Qd. 5, Lt. 1, nº 560
Setor Oeste – Caldas Novas-GO
✨ Sua próxima conquista começa aqui. Venha viver esse novo capítulo conosco.
Fale agora Conosco
Fazenda em Caldas Novas
Casa
Casa no Residencial Eldorado Park I – Reserva Ville | Caldas Novas (GO) 3 quartos (2 suítes), sala com pé-direito duplo, cozinh...
#CA-010
Fazenda
FAZENDA PRÓXIMO A JUNQUERLÂNDIA 📍 Área 1 (com estrutura) 1 alqueire e 23 litros Casa, poço artesiano e pomar f...
#RU-038
Apartamento
Apartamento no Evian Thermas Residence – Caldas Novas (GO) 3 quartos (1 suíte), sala, cozinha, área de serviço, sacada e...
#AP-001
Lote
Área de esquina no Reserva Ville – Caldas Novas (GO) 6 lotes em cabeça de quadra (Lotes 1, 2, 3, 26, 27 e 28), totalizando 1.98...
#TE-015








